برنامج حصر وتصنيف حشرات قطر
يُعدّ هذا المشروع العلمي الرائد الأول من نوعه في دولة قطر، وهو جزء أساسي من المبادرة الوطنية لحصر وتصنيف الأنواع الحشرية في البلاد، بما يساهم في بناء قاعدة معرفية علمية ويُثري الإرث الطبيعي للدولة.
يمثّل البرنامج خطوة استراتيجية في توثيق التنوع الحشري في قطر، من خلال دراسات ميدانية منظمة وأعمال بحثية دقيقة تُسهم في فهم البيئة المحلية والحفاظ عليها.
الأبعاد العلمية والتعليمية للمشروع
يرتكز المشروع على تدريب وتأهيل الكوادر القطرية من المعلمين والمختصين، ليكونوا قادرين على نقل المعرفة البيئية إلى الطلاب، وتعزيز فهمهم للتنوع الحيوي وأهميته.
ولا يقتصر أثر المشروع على الجانب التعليمي فقط، بل يمتد ليشمل أبعادًا ثقافية وعلمية عميقة، من خلال حفظ الأنواع الحشرية —المكتشفة والجديدة— في متحف قطر الوطني لأغراض البحث العلمي والدراسات المتقدمة.
اكتشافات علمية غير مسبوقة
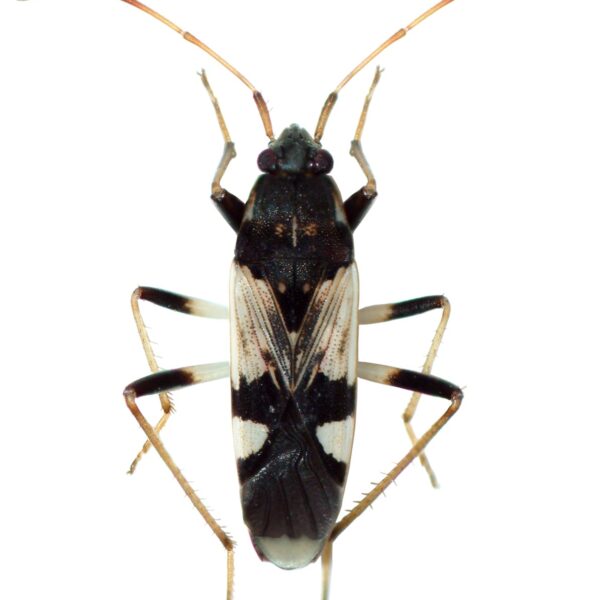
أسفرت أعمال المشروع عن اكتشاف 17 نوعًا حشريًا جديدًا عالميًا، لم يسبق توثيقها في أي منطقة أخرى في العالم، لينضمّ ذلك إلى 170 نوعًا سبق تسجيلها في قطر.
وتؤكد هذه الاكتشافات مدى فعالية الجهود البحثية الجارية لإثراء المعرفة العلمية وتأسيس متحف متخصص في التنوع الحشري القطري.
نطاق العمل والتصنيف العلمي
يهدف المشروع إلى تصنيف:
- 10 رتب حشرية
- 136 عائلة
- 448 جنسًا
- 672 نوعًا حشريًا
من بينها 222 نوعًا غير مصنّف بعد ويجري العمل على توثيقه بدقة.
كما سجّل المشروع 407 أنواع من الخنافس، إلى جانب عدد من أنواع الفراشات والذباب.
وتجدر الإشارة إلى أن أيًا من هذه الأنواع لا يشكّل خطرًا على البيئة القطرية؛ بل يؤدّي كلٌّ منها دورًا مهمًا في تحقيق التوازن البيئي واستدامة النظم الطبيعية.
أهمية المشروع على المستوى العالمي
يحمل مشروع حصر وتصنيف حشرات قطر أهمية دولية، إذ إن الأنواع السبعة عشر الجديدة المكتشفة تمّ تسجيلها لأول مرة عالميًا.
وقد مُنِحت جميعها أسماءً علمية مستوحاة من طبيعة قطر، بما فيها بيئاتها الصحراوية والساحلية، تكريمًا للهوية الطبيعية للدولة وربطًا للعلم بالتراث البيئي المحلي.
النشرة البريدية
آخر أخبار وأنشطة مركز حماة الطبيعة، وتقارير بيئية مختارة من قطر.